Philippines cat bond marked down for total loss after typhoon Noru
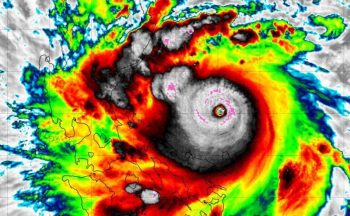
News 13th October 2022The notes associated with the remaining $97.5 million of principal from the Philippines governments World Bank issued IBRD CAR 123-124 catastrophe bond that is exposed to tropical cyclones have now been marked down implying a total loss is expected by the market after super typhoon Noru, Artemis has learned.
Read the full article




























