Cat bond trading seen as light as hurricane Laura approached
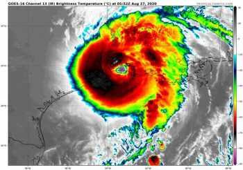
27th August 2020According to our market sources, secondary market trading of catastrophe bonds under the approach of hurricane Laura was “relatively light” by comparison to other major hurricane threats, perhaps suggesting that the uncertainty in the forecast cone made it more attractive to hold onto certain positions.
Read the full article




























