Some uncertainty, but probable Otis will trigger 50% Mexico cat bond loss: Twelve Capital
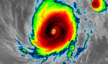
27th October 2023Specialist insurance and reinsurance-linked investment manager Twelve Capital has highlighted some uncertainty with respect to the final central pressure figure that will get reported for hurricane Otis, but still believes it is probable the Mexican government’s exposed catastrophe bond tranche will face a 50% loss of principal.
Read the full article




























